物種
鑑定
鍾明哲 ● 2020-08-18
敏感層級
日期
2020-08-16
地點
24.47075,120.9811
苗栗縣泰安鄉
苗栗縣泰安鄉
記錄者
秀育
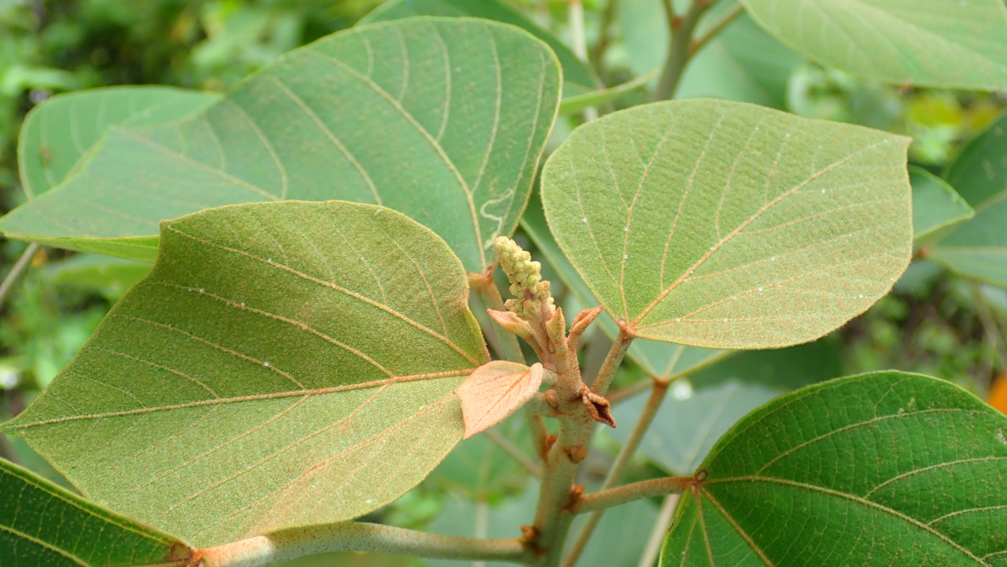
物候
新葉發育開展期, 花苞發育期
族群數量
中等medium
描述
授權
照片授權: CC BY (秀育)
識別號
db57a046-ca85-43b6-886d-c8c22ed29a04 (OccurrenceUUID)
2044545 (nid)
2044545 (nid)
鑑定歷程
| 日期 | 鑑定者 | 學名 | 中名 | 參考文獻 | 備註 |
|---|---|---|---|---|---|
| 2020-08-18 | 鍾明哲 | Mallotus japonicus |