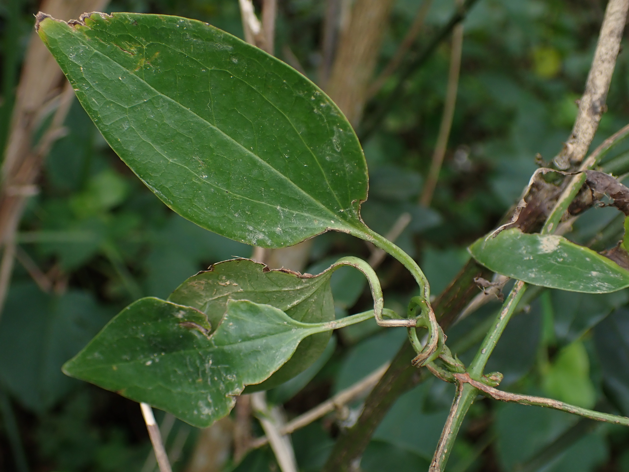
物種
鑑定
鍾明哲 ● 2023-01-05
敏感層級
日期
2022-11-22
地點
25.01755,121.95225
新北市貢寮區
新北市貢寮區
記錄者
Hao
物候
新葉發育開展期, 枝葉成熟期
族群數量
稀少rare
描述
授權
照片授權: CC BY (Hao)
識別號
dc12ec1e-148d-4449-8f5e-4cf330ef0c47 (OccurrenceUUID)
2101562 (nid)
2101562 (nid)
鑑定歷程
| 日期 | 鑑定者 | 學名 | 中名 | 參考文獻 | 備註 |
|---|---|---|---|---|---|
| 2023-01-05 | 鍾明哲 | Clematis crassifolia | 厚葉鐵線蓮 |