移至主內容
物種
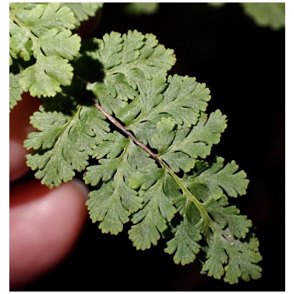
細葉碎米蕨 Cheilanthes chusana Hook.
[原始紀錄物種] 細葉碎米蕨 Cheilanthes chusana Hook.
鑑定
張智翔 ● 2025-02-05
敏感層級
縣市
日期
2025-02-01
地點
台北市信義區
記錄者
Jenny Tsai
物候
枝葉成熟期
族群數量
稀少rare
描述
授權
照片授權: CC BY (Jenny Tsai)
識別號
dc1e1fb7-f998-4332-b6d7-739d5dd22760 (OccurrenceUUID)
2153800 (nid)
鑑定歷程
日期 鑑定者 學名 中名 參考文獻 備註
2025-02-05 張智翔 Cheilanthes chusana 細葉碎米蕨