移至主內容
物種
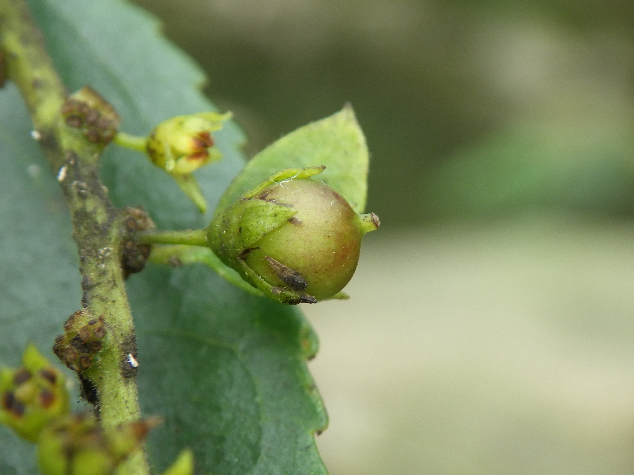
桶鉤藤 Rhamnus formosana Matsum.
[原始紀錄物種] 桶鉤藤 Rhamnus formosana Matsum.
鑑定
鍾明哲 ● 2026-03-11
敏感層級
日期
2025-11-21
地點
23.33228,120.509,364
台南市白河區
記錄者
物候
枝葉成熟期, 開花期, 結實期
族群數量
一些some
描述
授權
照片授權: CC BY (尤)
識別號
dcb9bc04-7508-4def-a2f1-52a42b16b3f4 (OccurrenceUUID)
2183876 (nid)
鑑定歷程
日期 鑑定者 學名 中名 參考文獻 備註
2026-03-11 鍾明哲 Rhamnus formosana 桶鉤藤