移至主內容
物種
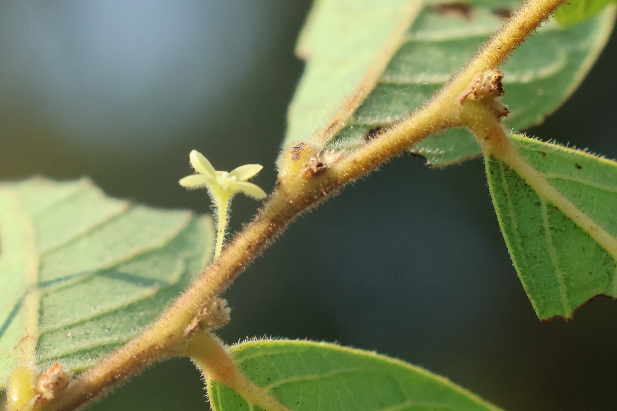
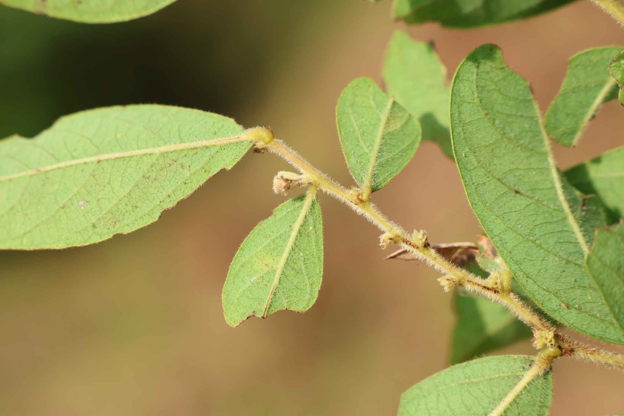
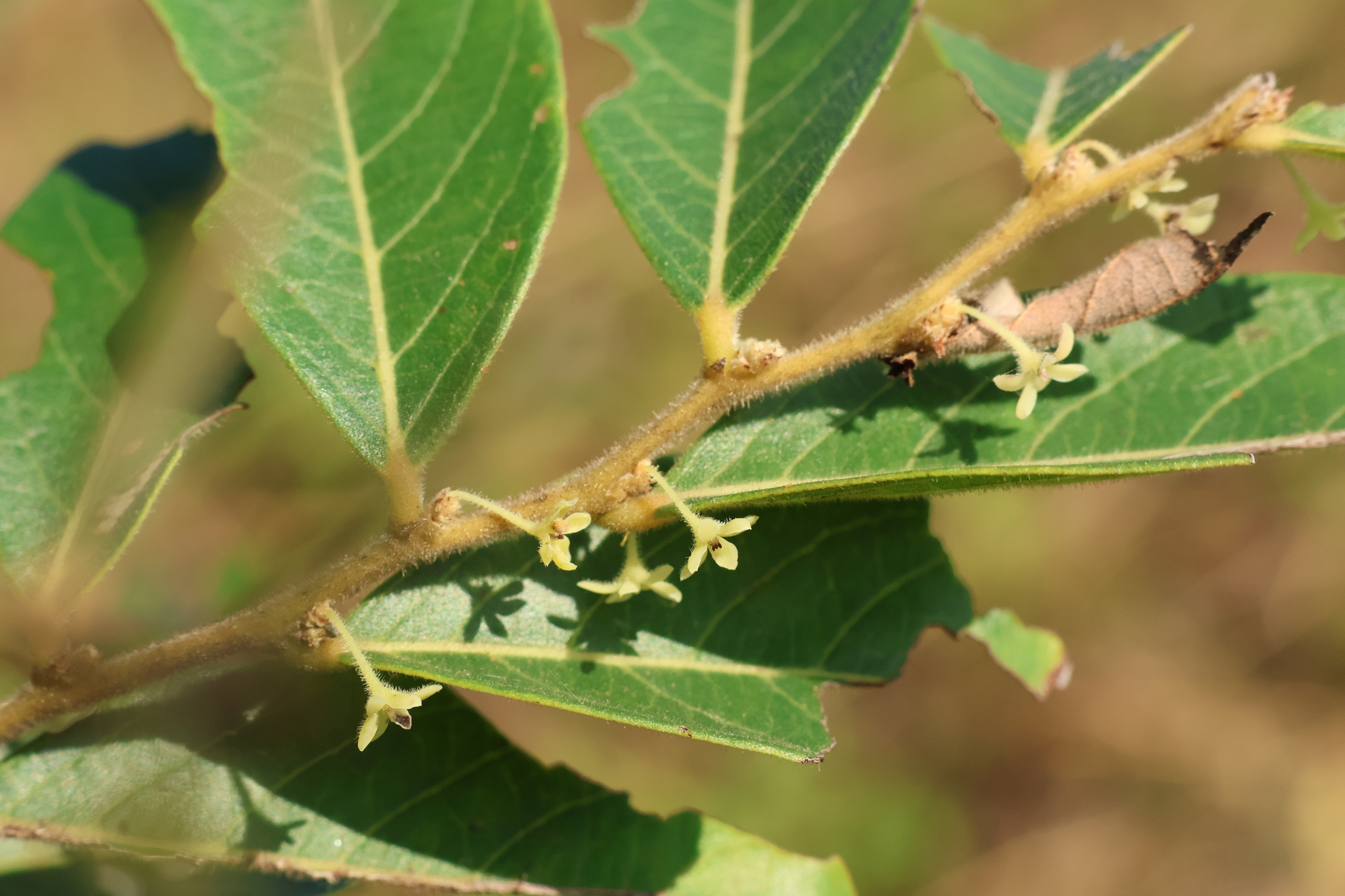
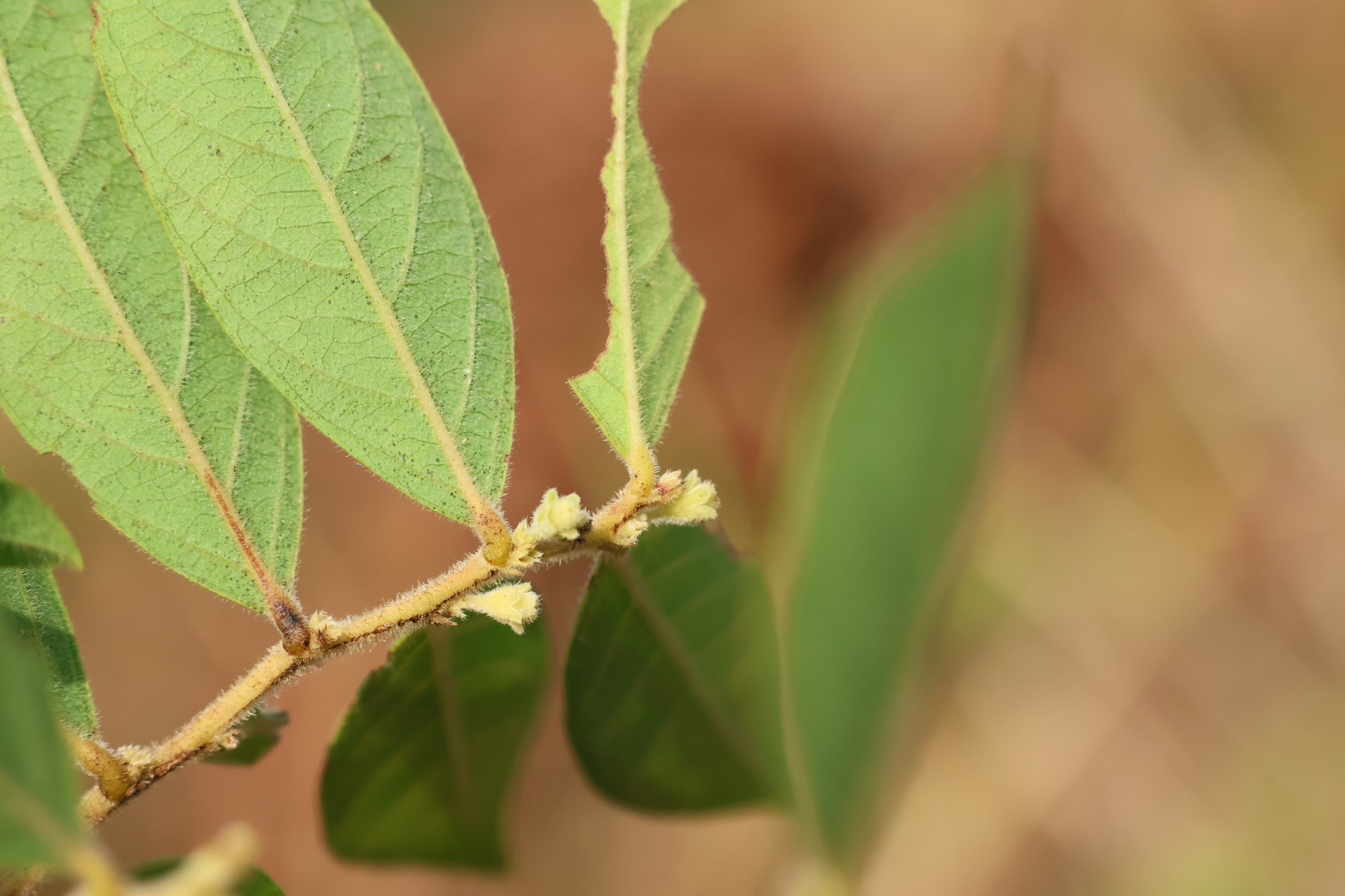
紅毛饅頭果 Glochidion puberum (L.) Hutch.
[原始紀錄物種] 紅毛饅頭果 Glochidion puberum (L.) Hutch.
鑑定
張智翔 ● 2025-11-04
敏感層級
輕度
日期
2025-11-03
地點
24.31,120.83,375
苗栗縣卓蘭鎮
記錄者
jun1115
物候
新葉發育開展期, 枝葉成熟期, 開花期
族群數量
一些some
描述
授權
照片授權: CC BY (jun1115)
識別號
e060ae38-bf71-4d34-a57d-61e3c5165ab6 (OccurrenceUUID)
2174552 (nid)
鑑定歷程
日期 鑑定者 學名 中名 參考文獻 備註
2025-11-04 張智翔 Glochidion puberum 紅毛饅頭果