移至主內容
物種
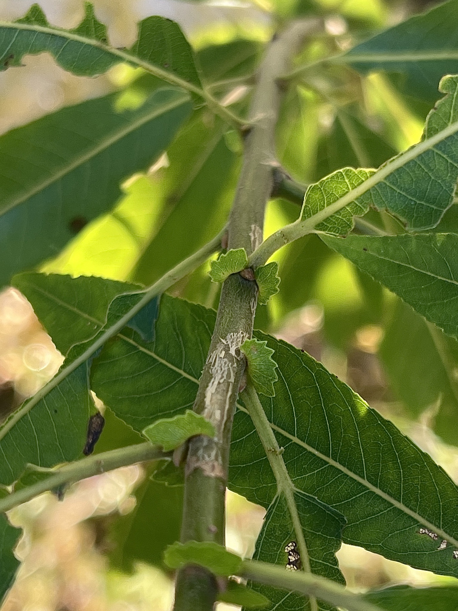
水柳 Salix warburgii Seemen (圈養/栽植)
[原始紀錄物種] 水柳 Salix warburgii Seemen
鑑定
鍾明哲 ● 2025-12-01
敏感層級
日期
2025-11-29
地點
25.03353,121.58072,12
台北市信義區 永春陂
記錄者
Henry Chen
物候
新葉發育開展期, 枝葉成熟期
族群數量
一些some
描述
宿存托葉明顯
授權
照片授權: CC BY (Henry Chen)
識別號
e546374f-ba31-415f-ab48-28e33a1a5d47 (OccurrenceUUID)
2176293 (nid)
鑑定歷程
日期 鑑定者 學名 中名 參考文獻 備註
2025-12-01 鍾明哲 Salix warburgii 水柳