移至主內容
物種
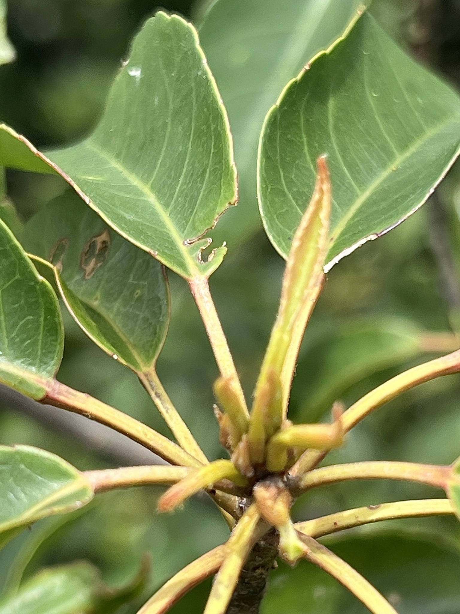
薯豆 Elaeocarpus japonicus Siebold & Zucc.
[原始紀錄物種] 薯豆 Elaeocarpus japonicus Siebold & Zucc.
鑑定
鍾明哲 ● 2025-07-06
敏感層級
日期
2025-07-06
地點
25.13403,121.62988,484
基隆市七堵區 友二里
記錄者
Henry Chen
物候
新葉發育開展期, 枝葉成熟期
族群數量
一些some
描述
授權
照片授權: CC BY (Henry Chen)
識別號
ed7828c6-3bb6-4cd9-8ae4-b7cd0adee4c6 (OccurrenceUUID)
2163064 (nid)
鑑定歷程
日期 鑑定者 學名 中名 參考文獻 備註
2025-07-06 鍾明哲 Elaeocarpus japonicus 薯豆