移至主內容
物種
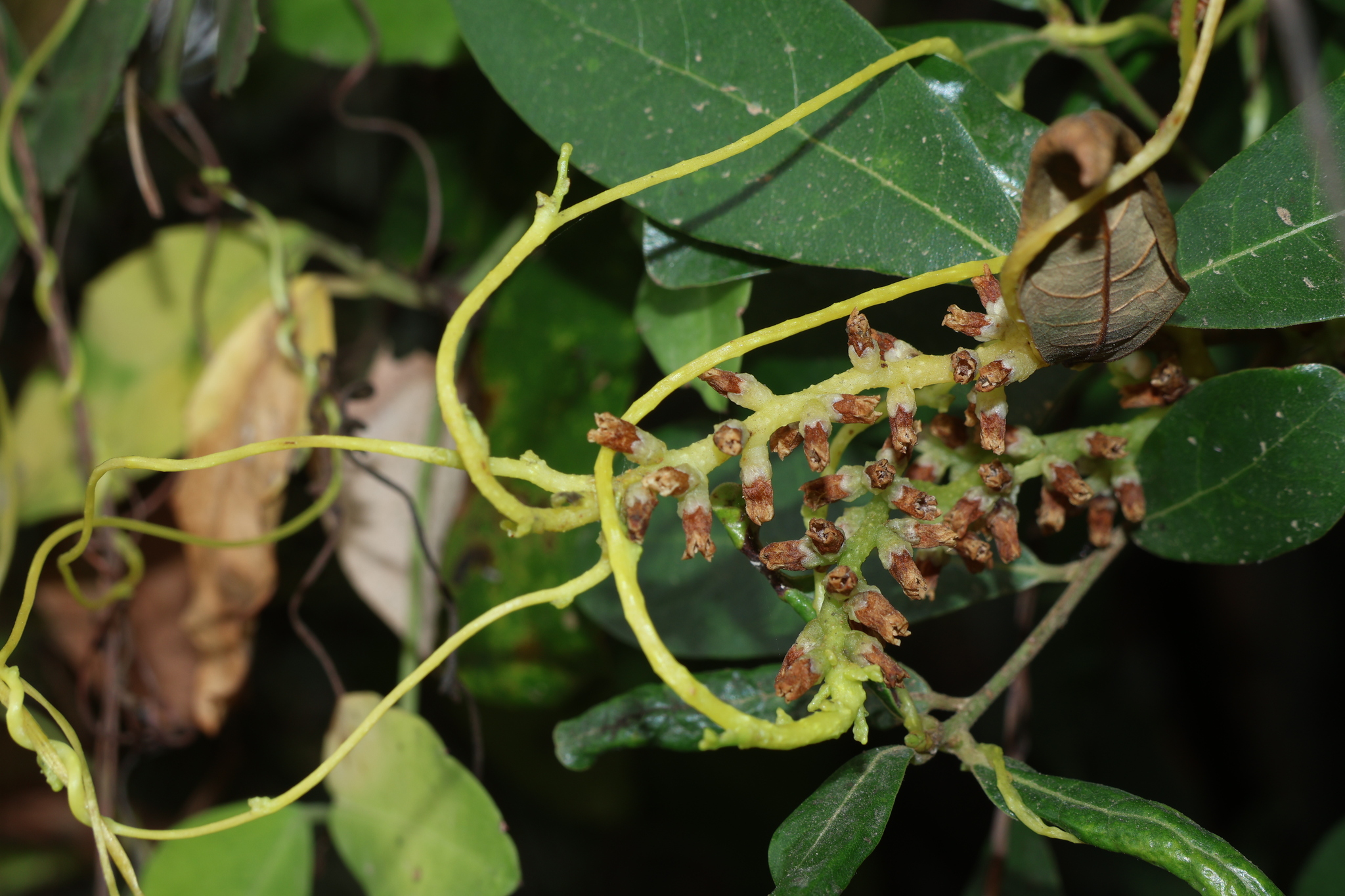
日本菟絲子 Cuscuta japonica var. japonica
[原始紀錄物種] 日本菟絲子 Cuscuta japonica var. japonica
鑑定
鍾明哲 ● 2026-02-02
敏感層級
日期
2026-01-30
地點
24.30633,120.74712,322
台中市后里區
記錄者
jun1115
物候
花苞發育期, 開花期, 結實期
族群數量
一些some
描述
授權
照片授權: CC BY (jun1115)
識別號
f006d002-a7c2-4013-b0b9-330c70cb67b2 (OccurrenceUUID)
2182911 (nid)
鑑定歷程
日期 鑑定者 學名 中名 參考文獻 備註
2026-02-02 鍾明哲 Cuscuta japonica japonica 日本菟絲子