移至主內容
物種
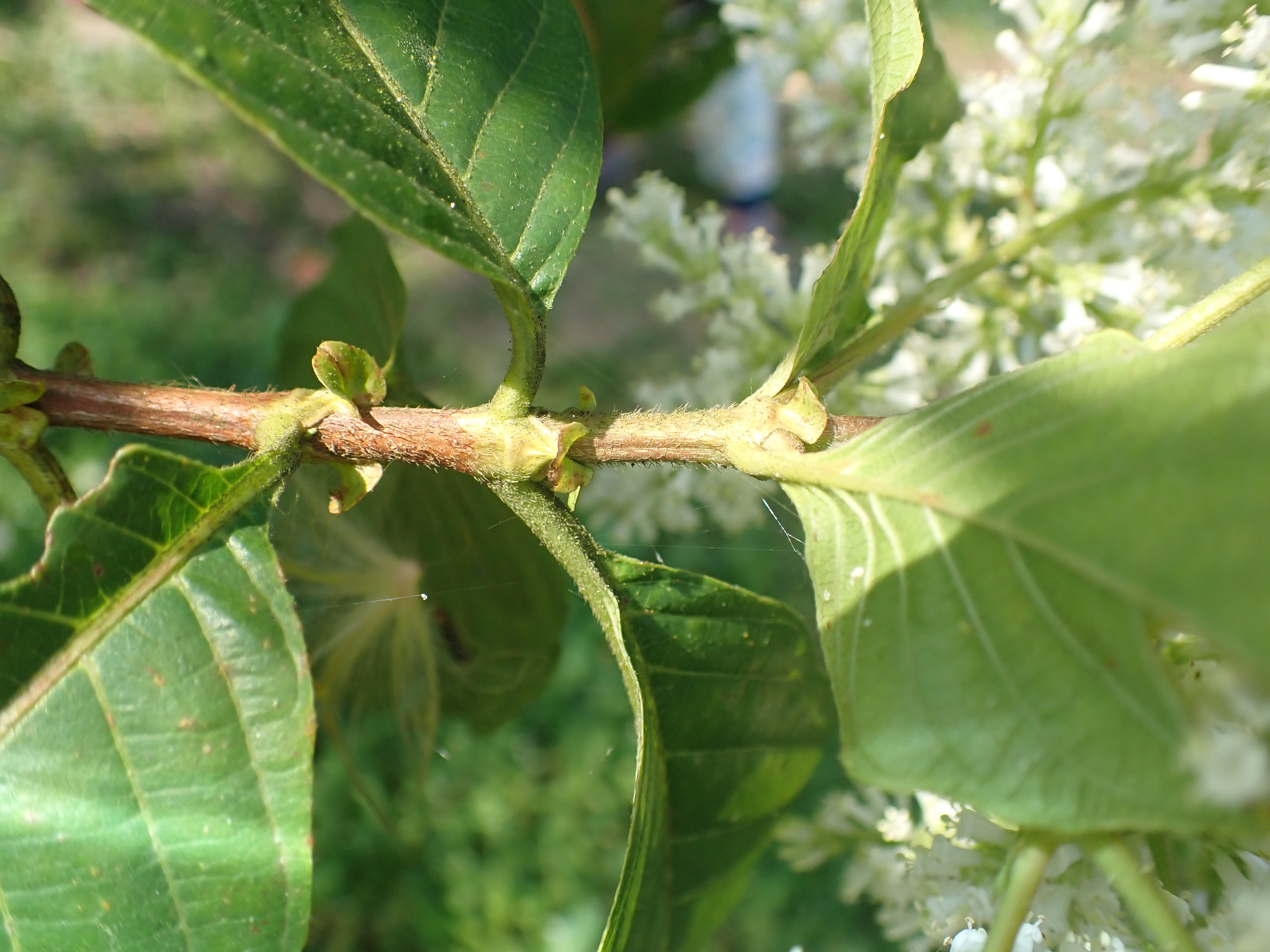
水錦樹 Wendlandia uvariifolia Hance (圈養/栽植)
[原始紀錄物種] 水錦樹 Wendlandia uvariifolia Hance
鑑定
mia ● 2021-04-23
敏感層級
日期
2021-03-12
地點
24.94921,121.53233(原始座標誤差: 30m)
新北市新店區
記錄者
陳佩華
物候
花苞發育期, 開花期, 盛花期
族群數量
常見common
描述
授權
照片授權: CC BY (陳佩華)
識別號
f3b80502-c7bd-4739-ade1-c0ccbdbacac1 (OccurrenceUUID)
2058119 (nid)
鑑定歷程
日期 鑑定者 學名 中名 參考文獻 備註
2021-04-23 mia Wendlandia uvariifolia