移至主內容
物種
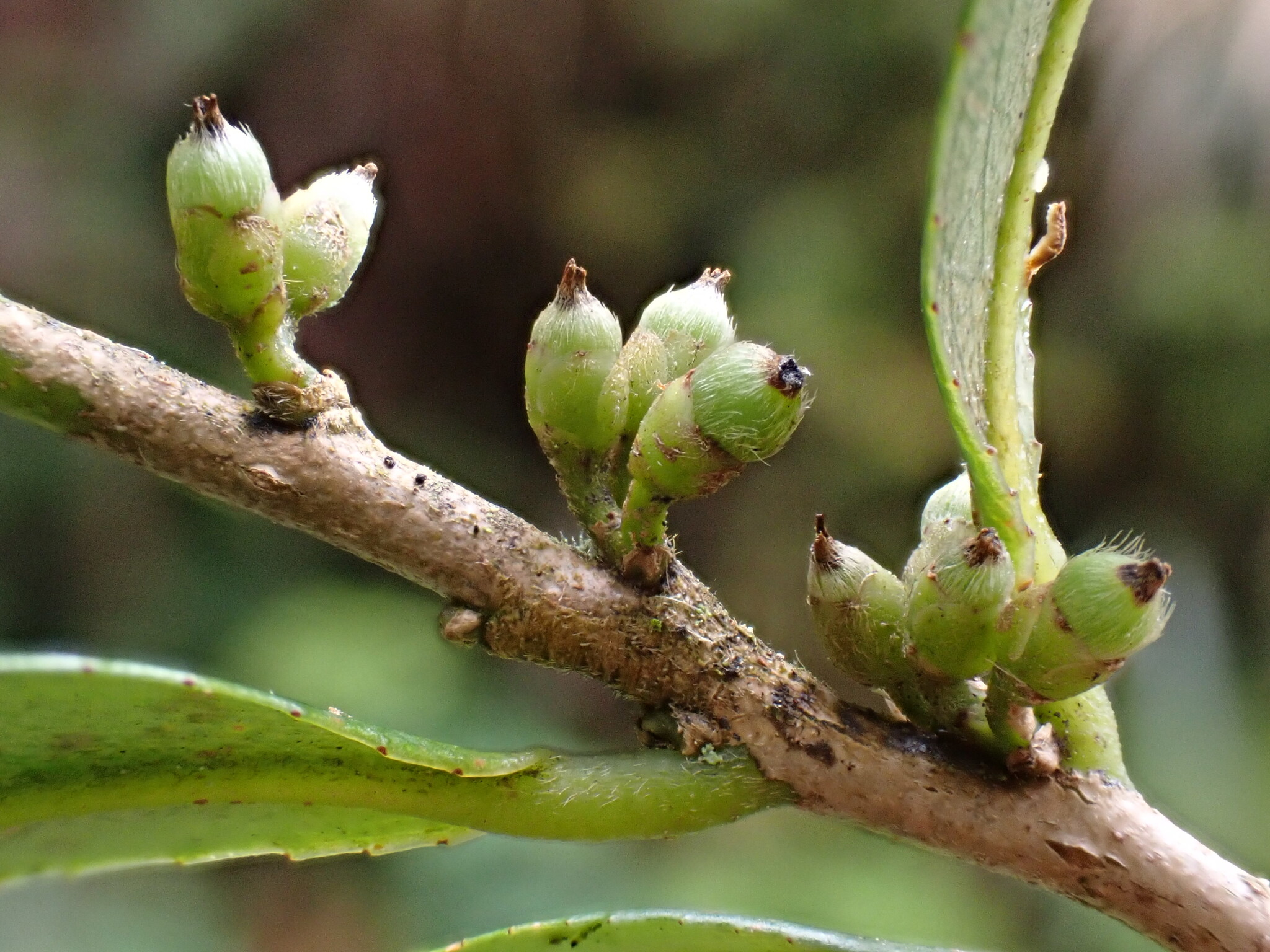
浸水營柃木 Eurya lui Y.H.Tseng & Y.Hung Wu
[原始紀錄物種] 浸水營柃木 Eurya lui Y.H.Tseng & Y.Hung Wu
鑑定
沈明雅 ● 2022-05-30
敏感層級
日期
2022-04-05
地點
22.40763,120.75654(原始座標誤差: 30m)
屏東縣春日鄉
記錄者
陳慧珠
物候
新葉發育開展期, 結實期
族群數量
一些some
描述
授權
照片授權: CC BY (陳慧珠)
識別號
f5f53e3d-6742-48ac-85c6-414cb8a9394b (OccurrenceUUID)
2085186 (nid)
鑑定歷程
日期 鑑定者 學名 中名 參考文獻 備註
2022-05-30 沈明雅 Eurya lui 浸水營柃木