物種
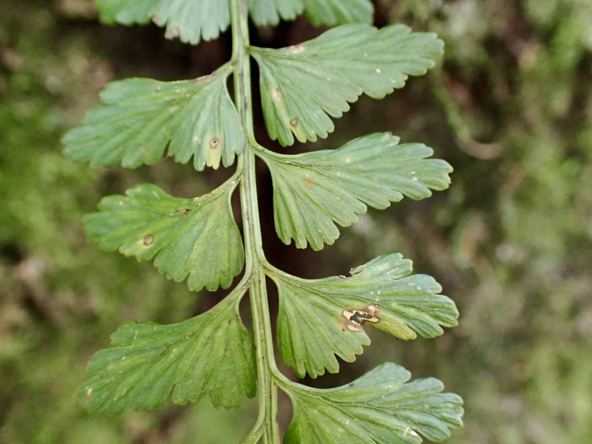
斜葉鐵角蕨 Asplenium yoshinagae subsp. indicum (Sledge) Fraser-Jenk.
[原始紀錄物種] 斜葉鐵角蕨 Asplenium yoshinagae subsp. indicum (Sledge) Fraser-Jenk.
[原始紀錄物種] 斜葉鐵角蕨 Asplenium yoshinagae subsp. indicum (Sledge) Fraser-Jenk.
鑑定
張智翔 ● 2025-06-15
敏感層級
日期
2025-05-19
地點
24.50275,121.11079,2159
苗栗縣泰安鄉
苗栗縣泰安鄉
記錄者
Jenny Tsai
物候
枝葉成熟期, 孢子囊發育中
族群數量
稀少rare
描述
授權
照片授權: CC BY (Jenny Tsai)
識別號
fe25d997-5958-4542-9dd9-3b772951437d (OccurrenceUUID)
2161014 (nid)
2161014 (nid)
鑑定歷程
| 日期 | 鑑定者 | 學名 | 中名 | 參考文獻 | 備註 |
|---|---|---|---|---|---|
| 2025-06-15 | 張智翔 | Asplenium yoshinagae indicum | 斜葉鐵角蕨 |