移至主內容
物種
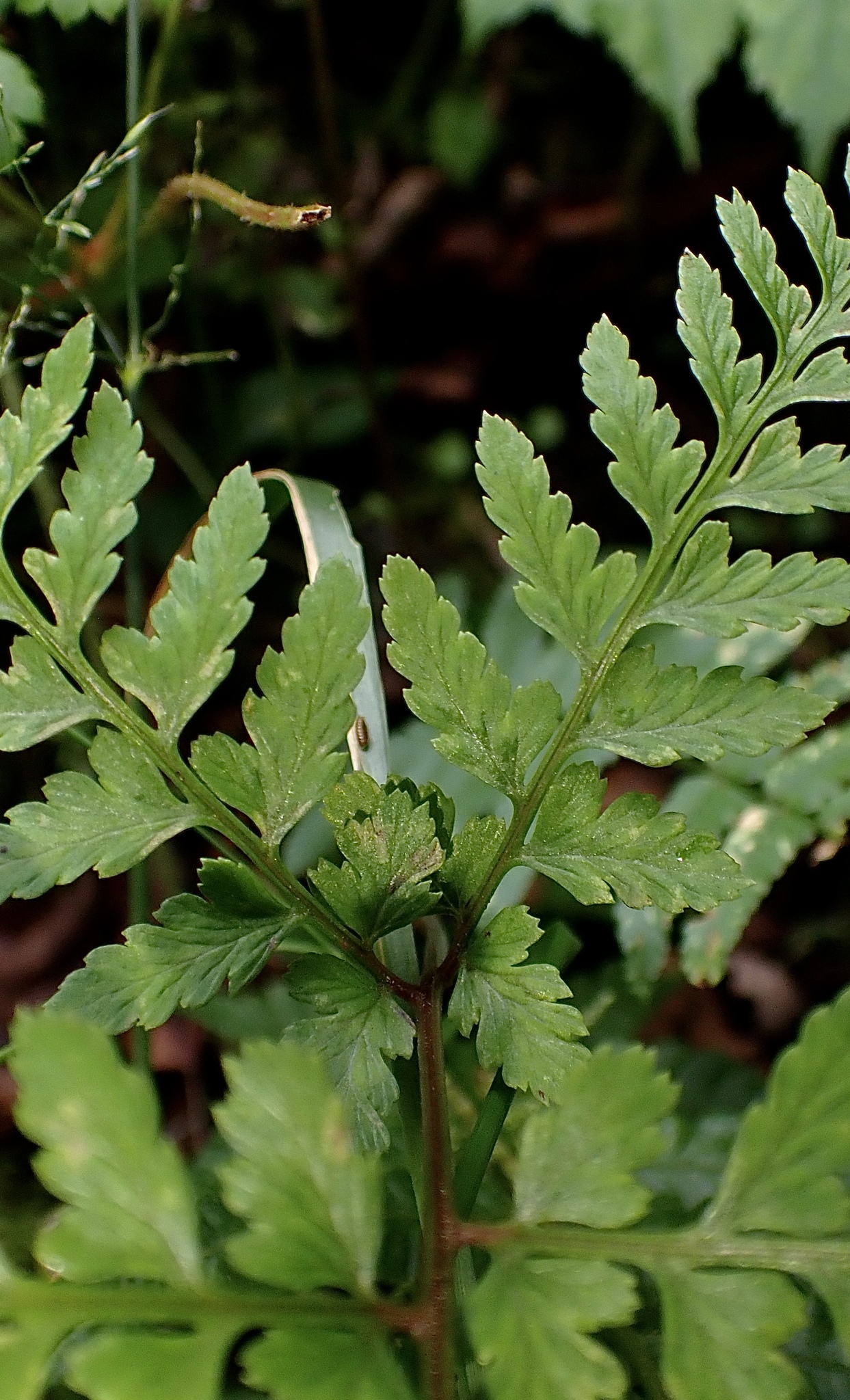
阿里山蹄蓋蕨 Athyrium arisanense (Hayata) Tagawa
[原始紀錄物種] 阿里山蹄蓋蕨 Athyrium arisanense (Hayata) Tagawa
鑑定
張智翔 ● 2025-09-07
敏感層級
日期
2025-09-05
地點
24.50452,121.11518,2032
苗栗縣泰安鄉
記錄者
Jenny Tsai
物候
枝葉成熟期, 孢子囊發育中
族群數量
一些some
描述
授權
照片授權: CC BY (Jenny Tsai)
識別號
fedc02f0-2598-4c57-ae1a-2dd94cb252b4 (OccurrenceUUID)
2167746 (nid)
鑑定歷程
日期 鑑定者 學名 中名 參考文獻 備註
2025-09-07 張智翔 Athyrium arisanense 阿里山蹄蓋蕨